< Back

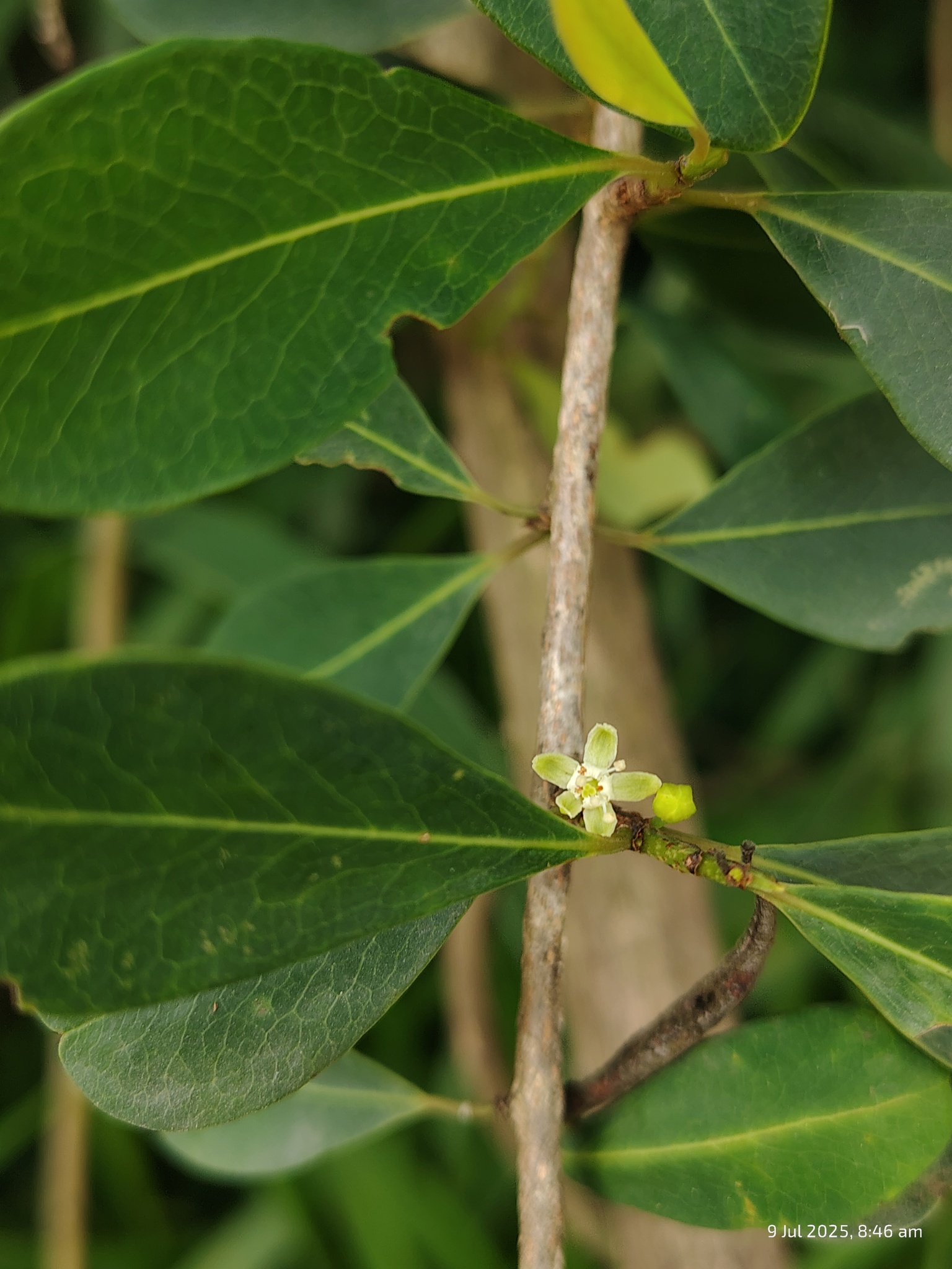
Scientific Name: Erythroxylum monogynum
Common Name:
Local Name:
No of Individuals:
Behaviour:
Date & Time: 09 Jul, 2025 08:46 AM
Latitude: 12.829972
Longitude: 77.421931
Author Name:
Need Identification?: No